5.04 acres Texas ,Rio Grande River Access, With Power at lot, Road Frontage, River Access
(Apr 09, 2026 02:20 AM UTC)
$4,995.00 USD
Buy NowOnline Auction
Location:
sierra blanca, Texas, USADescription
| Condition | Used/See Description |
| Lot Number | 26958-591 |
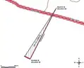
Road frontage on Bramblett Rd
Property also has river access
This is for Tract 7A on the map
We also have Tract 7D we are selling
Power is at the lot
Low Opening Bid
This is Rio Grande River access, and road frontage and poweer at the lot
Hudspeth County Texas
Nice level Land
Buildable
Shallow Water Table for a well
No Liens
Nice Views
Great Ag Land or Homesite
No restrictions
Homes or Mobiles allowed
RV camping ok
Parcel# 106931
GPS Maps under photos
Seller Information
Seller:
Item Location:
Account Type:
Commercial
Inspection
Buyers are welcome to visit the property prior to placing a bid if they are able to. We are not based in the local area though, so no one will be there to meet you. Buyers do so at their own risk.
It is highly recommended that interested bidders arrange for an external inspection personally or through a designate and that they contact the county or city in which the property is located to confirm the status of the property.
All potential real estate bidders are reminded that it is your responsibility to complete all due diligence needed to determine the condition, market value, or investment value of this asset prior to placing a bid.
By placing a bid, you acknowledge that any statements made by the seller about the condition or market value of the property are subjective, and do not release you from your responsibility to perform due diligence.
Payment
PAYMENT
If you are the winning bidder, you will facilitate payment by referring to the My Bids section of your account.Note:
1. Payment is due within 5 (five) business days of auction closure.
2. Any invoice $5,000 or above requires payment via wire transfer.
3. Depending on your history with GovDeals, you may be limited to the number of auctions/transactions that you can participate in simultaneously AND/OR the dollar amount that you can pay via credit card, debit card or PayPal. For additional insight, please visit the Probation FAQ.
SALES TAX
When applicable, sales tax is calculated based upon the auction’s advertised location.If you are seeking sales tax exemption, you must complete Liquidity Services’ tax exemption form(s). We recommend doing this prior to the auction’s closure or before making payment. To do so, please visit Liquidity Services' Tax Exemption Submission Tool.
Removal
***SELLER TO PREPARE DEED DIRECTLY***
Upon receipt of the payment and title information, the grant deed/special warranty deed will be sent to the County to be recorded into your name by the seller and a copy of the deed will be emailed to you for your records.
Removal and Transportation Options
Discover unbeatable nationwide transporters from our preferred shippers. Explore our curated list of qualified third-party shipping vendors to revolutionize your shipping experience.
ABBA Freight Systems
USA - All StatesServices: Transportation FTL dedicated LTL oversized loads
ADCOM Worldwide
USA - All StatesServices: Full service pickup, packing, crating, domestic and international shipping
ADM Logistics
USA - All StatesServices: Logistics provider and broker with access to a far-reaching transportation network with the backing of a Fortune 30 Company
FreightSaver
USA - All StatesServices: Full service pickup, packing, crating, rigging, blanket wrap, domestic and international shipping, warehousing, in house customs brokerage
MoveIt Auction Services
USA - All StatesServices: Full service pickup, packing, crating, rigging, blanket wrap, domestic and international shipping
Navis Pack & Ship
USA - All StatesServices: Full service pickup, packing, crating, domestic & international shipping
Pak Mail
USA - All StatesServices: Full service pickup, packing, crating, domestic & international shipping
Preferred Shipper
Special Instructions
Guaranty Waiver: All property is offered for sale “AS IS, WHERE IS.” (Seller) makes no warranty, guaranty or representation of any kind, expressed or implied, as to the merchantability or fitness for any purpose of the property offered for sale. Please note that upon removal of the property, all sales are final.
Bid History
Bid History refreshes automatically
Asset ID 591 / Bids 1
ja*****
April 09, 2026 02:20 AM UTC
USD 4,995.00High Bidder
Additional Information
First time bidding? Please review our Terms and Conditions.
For further assistance please review our Frequently Asked Questions.
















