- Categories
Surplus BioPharma
- Find Auctions
- Locations
- Closing Today
- New Listings


12d23h(Dec 29, 2025 09:00 PM UTC)
$500.00 USD
Bid IncrementOnline Auction — Subject to Seller Confirmation
Location:
Egg Harbor Township, New Jersey, USASubject to an auto-extension of the auction end time.
Possible Bad Bid
28510-6
Used/See Description
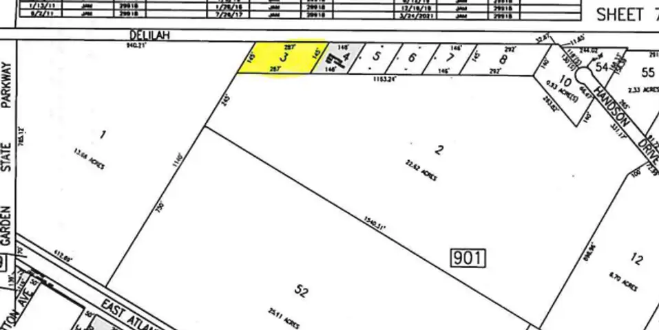
Block 901, Lot 3
Approximately .95 acres
Assessed at $61,400.00 with a fair market value of $90,000
Current Taxes - $2,047.69
Being sold strictly AS IS-WHERE IS. Seller will provide a Quit Claim Deed. Buyer will be responsible for recording the deed, recording fees and $499.00 Deed Prep.
Within 14 days of the receipt of funds, Seller will send a quit claim deed to the winning bidder.
Buyer to assume any outstanding liens and back taxes, if any exist. Property being sold as is, where is.
Buyer should do due diligence on property condition, back taxes, title and liens prior to bidding seller makes no representations as to the property or it's condition.
Inspection
All potential real estate bidders are reminded that it is your responsibility to complete all due diligence needed to determine the condition, market value, or investment value of this asset prior to placing a bid.
By placing a bid, you acknowledge that any statements made by the seller about the condition or market value of the property are subjective, and do not release you from your responsibility to perform due diligence.
It is highly recommended that interested bidders arrange for an external inspection personally or through a designate and that they contact the county or city in which the property is located to confirm the status of the property.
Buyer should do due diligence on property condition, back taxes, title and liens prior to bidding seller makes no representations as to the property or it's condition.
Buyers do so at their own risk.
PAYMENT
If you are the winning bidder, you will facilitate payment by referring to the My Bids section of your account.
Note:
1. Payment is due within 5 (five) business days of auction closure.
2. Any invoice $5,000 or above requires payment via wire transfer.
3. Depending on your history with GovDeals, you may be limited to the number of auctions/transactions that you can participate in simultaneously AND/OR the dollar amount that you can pay via credit card, debit card or PayPal. For additional insight, please visit the Probation FAQ.
Removal
***BUYER TO PREPARE DEED DIRECTLY***
Upon receipt of the payment by GovDeals, the seller will utilize the buyer's name and address information on the certificate to prepare the quit claim deed paperwork. Subsequently, the BUYER will submit the quit claim deed to the county for recording. It remains the BUYER'S RESPONSIBILTY to ensure the deed is recorded with the county.
Discover unbeatable nationwide transporters from our preferred shippers. Explore our curated list of qualified third-party shipping vendors to revolutionize your shipping experience.
ABBA Freight Systems
USA - All StatesServices: Transportation FTL dedicated LTL oversized loads
ADCOM Worldwide
USA - All StatesServices: Full service pickup, packing, crating, domestic and international shipping
ADM Logistics
USA - All StatesServices: Logistics provider and broker with access to a far-reaching transportation network with the backing of a Fortune 30 Company
FreightSaver
USA - All StatesServices: Full service pickup, packing, crating, rigging, blanket wrap, domestic and international shipping, warehousing, in house customs brokerage
MoveIt Auction Services
USA - All StatesServices: Full service pickup, packing, crating, rigging, blanket wrap, domestic and international shipping
Navis Pack & Ship
USA - All StatesServices: Full service pickup, packing, crating, domestic & international shipping
Pak Mail
USA - All StatesServices: Full service pickup, packing, crating, domestic & international shipping
Preferred Shipper
First time bidding? Please review our Terms and Conditions.
For further assistance please review our Frequently Asked Questions.